LOADING

243201 Range Road 33 Rural Rocky View County, Alberta T3Z 2E6

$2,998,000

MLS® Number: A2209793 Bedrooms: 3 Bathrooms: 2 Square Footage: 1399 sqft Community: Springbank
×
×
×

Need to sell your current home to buy this one?

Find out how much it will sell for today!

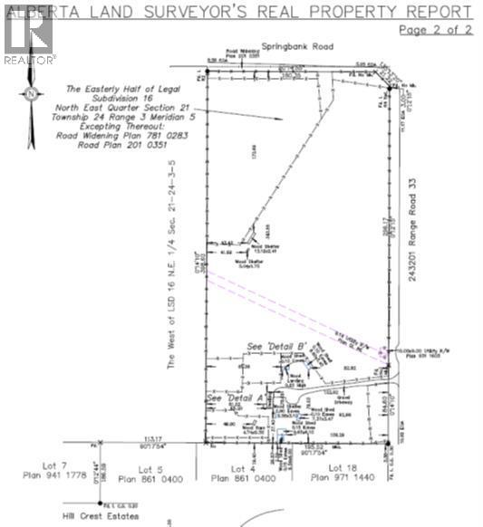
Offering of 19.2 Acres of development land located immediately SW of Springbank High School and the Springbank Park for All Seasons. Legal title of (East ½) Subdivision 16 NE-21-24-03-05, owned by the existing family since 1960 and currently leased to a local horse operation. The current zoning designation is Residential, Rural District (R-RUR). In the Draft 2024 Springbank Area Structure Plan, this parcel of land has a future zoning as Infill Residential where future lots in the infill residential area will range between +0.8 to +1.6 ha (+2 to. +4 acres) in size, or whatever is most prevalent on adjacent lands or in the immediate area. This parcel can be serviced for water by CalAlta and the water line can be tied into at the Springbank High School hub. This has been confirmed to be within the CalAlta area for servicing. The cost to tie into this service can be discussed with CalAlta directly. The current owner attended 2024 Public Hearings for the Springbank Area Structure Plan and presented amendments to this particular parcel that they felt would enhance future development possibilities to this area and the Springbank community. A future owner may consider utilizing this parcel of land with its current land designation or may also consider working with a planning and independent consultant if they wish to apply to Rocky View County to change the land use designation, being that community and institutional land use areas are immediately across the road from this existing parcel. The current tenant has a lease until August 31st, 2025 and would like to continue to lease into the future. (id:37074)

Property Features

Style: Bi-Level Cooling: None Heating: Forced Air Acreage: Acreage

Property Details

MLS® Number A2209793
Property Type Single Family
Community Name Springbank
Amenities Near By Park, Schools
Features See Remarks, Other
Structure See Remarks

Parking

None

Building

Bathroom Total 2
Bedrooms Above Ground 3
Bedrooms Total 3
Architectural Style Bi-level
Basement Type See Remarks
Constructed Date 1960
Construction Style Attachment Detached
Cooling Type None
Exterior Finish Composite Siding
Flooring Type Other
Foundation Type Poured Concrete
Heating Fuel Natural Gas
Heating Type Forced Air
Size Interior 1,399 Ft2
Total Finished Area 1399 Sqft
Type House
Utility Water Well

Rooms

Level Type Dimensions
Lower Level Family Room 21.08 Ft x 22.58 Ft
Lower Level Other 8.00 Ft x 10.83 Ft
Lower Level Den 8.67 Ft x 13.83 Ft
Lower Level Office 15.92 Ft x 12.08 Ft
Lower Level 4pc Bathroom Measurements not available
Main Level Kitchen 9.50 Ft x 7.92 Ft
Main Level Dining Room 9.50 Ft x 8.67 Ft
Main Level Living Room 13.42 Ft x 13.67 Ft
Main Level Primary Bedroom 11.50 Ft x 18.42 Ft
Main Level Bedroom 12.33 Ft x 10.00 Ft
Main Level Bedroom 9.50 Ft x 10.50 Ft
Main Level 4pc Bathroom Measurements not available

Land

Acreage Yes
Fence Type Fence
Land Amenities Park, Schools
Sewer Septic Field, Septic Tank
Size Irregular 19.21
Size Total 19.21 Ac|10 - 49 Acres
Size Total Text 19.21 Ac|10 - 49 Acres
Zoning Description R-rur

When you contact Maverick Group, the best realtors in Airdrie, you will know that you are working with an agent and team who focuses on you and your needs. We will be with you every step of the way. From buying and selling to rental properties and relocation, we deliver results in the Airdrie real estate market and are ready to assist you with all of your real estate needs.

Airdrie Realtors

Real Estate Data supplied by CREA®’s MLS® System. CREA® is the owner of the copyright in its MLS® System. Data deemed reliable but not guaranteed accurate by CREA®. The trademarks MLS®, Multiple Listing Service® and the associated logos are owned by The Canadian Real Estate Association (CREA) and identify the quality of services provided by real estate professionals who are members of CREA. The trademarks REALTOR®, REALTORS®, and the REALTOR® logo are controlled by The Canadian Real Estate Association (CREA) and identify real estate professionals who are members of CREA. Used under license.

Book Your Consultation

Book Your Consultation

Book Your Consultation

Book Your Consultation

Book Your Consultation

Book Your Consultation